繁
/
简
/
ENG
|
管理員登入
Toggle navigation
首頁
公司簡介
筍盤推介
一手新盤
最新成交
屋苑走勢
圖則資料
友和廣告
新聞中心
置業指南
›
買賣流程
›
即時估價
›
按揭計算
›
按揭成數表
›
學校網
網上放盤
分行指南
聯絡我們
繁
/
简
/
ENG
|
管理員登入
圖則資料
位置 :
圖則資料
>
窩打老道山
> 嘉景樓
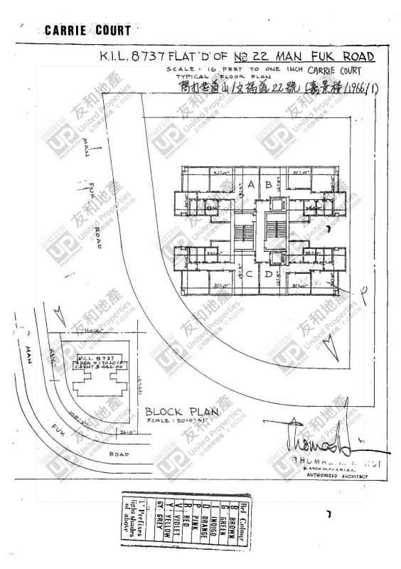
嘉景樓 (CARRIE COURT)
嘉景樓 (CARRIE COURT) CAR PARK
置頂